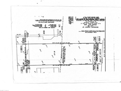
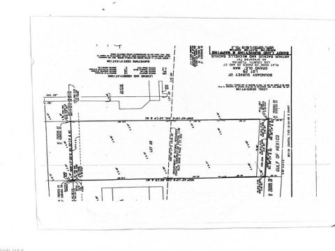
Grand Ole Man Fort Myers Beach Land for Sale: OWN THIS LARGE BEACH FRONT LOT. BEACH DIRECT, with 80 feet road frontage , walk direct to Gulf no obstructions! OPEN VIEWS AND WALK TO GULF ! Build your amazing BEACH FRONT LUXURY home in paradise ! Enjoy all water sports , fishing , boating , or just relaxing ! South end of Island has very little traffic! Peaceful , enjoy nature ! Subject to City & County restrictions, utilities available from roadway , not on lot . SURVEY loaded into MLS. Many builders available on Island. Per survey 80 feet of road front, must be verified, by buyers, 80x225x79x231 estimate per survey. Owners have a house plan and have talked with a well known Builder information can be made available. All information must be verified by buyers . Nothing between this lot to the Gulf !
- Main
- Fort Myers Beach Real Estate
- Grand Ole Man Land for Sale
1 - 5 of 5
Previous
1
Next
Grand Ole Man Fort Myers Beach Land for Sale: OVERSIZED GULF FRONT LOT!!! Exceptional 80 ft X 218 ft Gulf-front parcel presents a rare opportunity to build your dream coastal retreat. Builder Introductions Available. Nestled along the pristine shores of Fort Myers Beach. Boasting unparalleled panoramic views of the sparkling Gulf of Mexico and offering direct access to the powdery white sands, this property epitomizes luxury beachfront living. This property offers breathtaking, unobstructed views of the azure waters and stunning sunsets. The expansive lot offers ample space to design and construct a custom residence that captures the essence of coastal living. Imagine waking up to the sound of gentle waves and enjoying unparalleled sunsets from the comfort of your own home. Whether you're looking to build your forever home or considering as a second home, this lot holds tremendous potential for appreciation. Fort Myers Beach is renowned for its laid-back atmosphere, vibrant community, and a plethora of recreational activities from water sports to beachfront dining, this location provides the perfect blend of relaxation and entertainment. SAMPLE NEW CONSTRUCTION HOME RENDERINGS IN PHOTOS ARE NOT INCLUDED IN SALE PRICE OF THE LOT.
Grand Ole Man Fort Myers Beach Land for Sale: Waterfront BUILDING LOT- waterfront-beach view from your back door! South Fort Myers Beach location offers one of the BEST Gulf and Beach views. This island beach lot is ready for YOUR custom-built luxury beach home. We have proven, award-winning builders and architects ready to meet with you and make your Florida beach property a reality! Views include the Naples Coastline to the South and Sanibel Island to the North. Perfectly situated on the peaceful south end of Estero Island with easy access to Lovers Key State Park, Bonita Boat Launch, Bonita Beach, and Barefoot Beach Park. Margaritaville Resort is minutes away on the Island, and highway access from I-75 to RSW Airport is very convenient from the location. Let us help make this year the time for you to realize a new waterfront beach home in Florida! Family and friends will marvel at the beach lifestyle here on Fort Myers Beach, and you will have a home to enjoy for generations to come to SW Florida. Driving directions: Estero Blvd, on the Gulf, before the Bridge to Bonita, sign on property. The residence photos are for reference purposes, and all plans can be changed with the builder. Quality luxury coastal home builder with years of proven experience. SAMPLE NEW CONSTRUCTION HOME RENDERINGS IN PHOTOS ARE NOT INCLUDED IN SALE PRICE OF THE LOT.
Grand Ole Man Fort Myers Beach Land for Sale: Amazing chance to build your dream home on a gulf view lot. One lot away from the beach with deeded beach access. Lot has been cleared and is ready for your home builder. Enjoy beautiful sunsets from your own piece of paradise. Property also has the ability to generate income with no rental restrictions in place.
Grand Ole Man Fort Myers Beach Land for Sale: Don't miss out on this opportunity! Discover a rare opportunity to own a slice of paradise on the highly desirable South end of Fort Myers Beach! This spacious vacant lot offers the perfect canvas to build your dream beach home or investment property. Nestled in a vibrant coastal community, this property is just steps away from the sugar-white sands and clear blue waters of the Gulf of America! Located in a weekly rental zone, 7 day rental minimum, 52 rentals a year, opportunity is there for investment income! Buy your future lot now to join the future development going on at Fort Myers Beach! New Pass Bridge is being replaced with a new higher 4 lane bridge, NEW Fort Myers Beach Pier Installation in 2027, Margaritaville is fully up and running, and many other future developments are in the works along the beach!
1 - 5 of 5
Previous
1
Next

Need professional assistance selling your property at Grand Ole Man Fort Myers Beach? Find out how an Area Specialist can help to generate more property exposure in order to get the most money for your investment in the least amount of time.Contact Us.
*Just Listed: new properties that came on the market within the last 30 days.
*Decrease/Increase: listing values that are being recorded within the last 30 days.
*Foreclosures/Short Sale: Please note, all properties are subject to bank approval. Buyers must be pre-approved or show proof of funds before submitting an offer.
The data relating to real estate for sale/lease on this web site come in part from a cooperative data exchange program of the multiple listing service (MLS) in which this real estate firm (Broker) participates. The properties displayed may not be all of the properties in the MLS's database, or all of the properties listed with Brokers participating in the cooperative data exchange program. Properties listed by Brokers other than this Broker are marked with either the listing Broker's logo or name or the MLS name or a logo provided by the MLS. Detailed information about such properties includes the name of the listing Brokers. Information provided is thought to be reliable but is not guaranteed to be accurate; you are advised to verify facts that are important to you. No warranties, expressed or implied, are provided for the data herein, or for their use or interpretation by the user. The Florida Association of Realtors and its cooperating MLSs do not create, control or review the property data displayed herein and take no responsibility for the content of such records. Federal law prohibits discrimination on the basis of race, color, religion, sex, handicap, familial status or national origin in the sale, rental or financing of housing.
*Decrease/Increase: listing values that are being recorded within the last 30 days.
*Foreclosures/Short Sale: Please note, all properties are subject to bank approval. Buyers must be pre-approved or show proof of funds before submitting an offer.
The data relating to real estate for sale/lease on this web site come in part from a cooperative data exchange program of the multiple listing service (MLS) in which this real estate firm (Broker) participates. The properties displayed may not be all of the properties in the MLS's database, or all of the properties listed with Brokers participating in the cooperative data exchange program. Properties listed by Brokers other than this Broker are marked with either the listing Broker's logo or name or the MLS name or a logo provided by the MLS. Detailed information about such properties includes the name of the listing Brokers. Information provided is thought to be reliable but is not guaranteed to be accurate; you are advised to verify facts that are important to you. No warranties, expressed or implied, are provided for the data herein, or for their use or interpretation by the user. The Florida Association of Realtors and its cooperating MLSs do not create, control or review the property data displayed herein and take no responsibility for the content of such records. Federal law prohibits discrimination on the basis of race, color, religion, sex, handicap, familial status or national origin in the sale, rental or financing of housing.

